Good! Why Hurricane Dorian Is Not Moving
A tropical cyclone is a rapidly rotating storm system characterized by a low-pressure center a closed low-level atmospheric circulation strong winds and a spiral arrangement of thunderstorms that produce heavy rain andor squallsDepending on its location and strength a tropical cyclone is referred to by different names including hurricane ˈ h ʌr ɪ k ən-k eɪ n typhoon t. The use of easily remembered names greatly reduces confusion when two or more tropical storms occur at the same time.

Bodies Floating In Water After Hurricane Dorian Hits Bahamas News Environment Facts Interesting Amazing Life Floating In Water Awesome Wow Bahamas
National Hurricane Center forecast updates over the preceding 24 hours showed Dorian steering well away from Alabama and moving.
Why hurricane dorian is not moving. President Trump receives an update on Hurricane Dorian on August 29 2019. Dorian recorded sustained wind speeds of 185 mph tying the record for maximum sustained wind speed for an Atlantic hurricane that made landfall. For example it saw Hurricane Dorian as a cluster of about 150 deep convective clouds while Hurricane Katrina contained about 500.
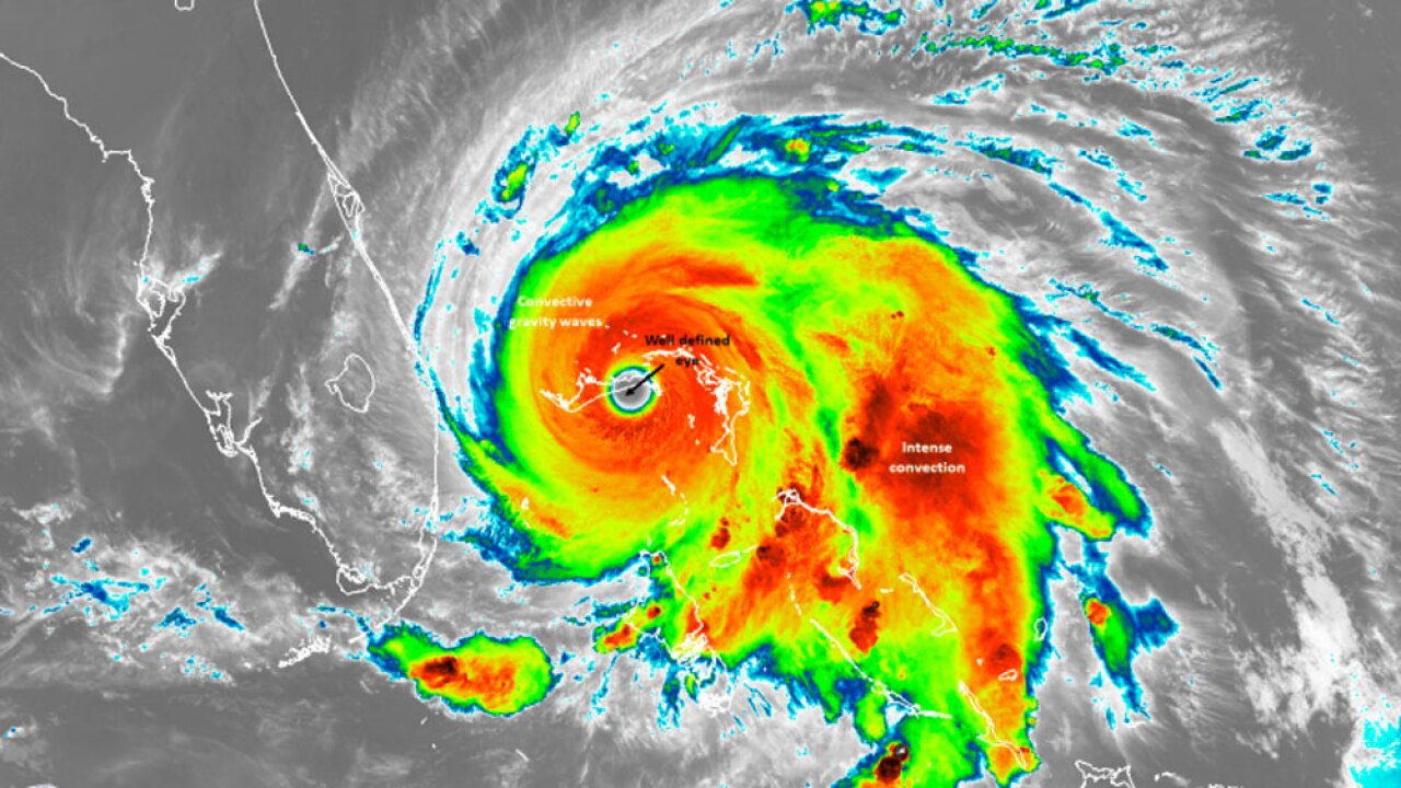
If you look at a weather satellite image youll see the severe storms that make up a hurricane are not actually contiguous. Were just moving and managing the mess. Dorian hit Abaco on September 1 2019 flattening homes buildings and taking lives before moving to Grand Bahama the next day where it left more devastation and death.
While over the northwestern Bahamas Dorian was the slowest-moving major hurricane - Category 3 or stronger - on record in the Atlantic Basin crawling. This map was later altered to show the hurricane impacting Alabama. Phase-1 recovery is necessarily well scruffy.
UM Director of Emergency Management Matthew Shpiner meets with President Julio Frenk before Hurricane Dorian in 2019. For example one hurricane can be moving slowly westward in the Gulf of Mexico while at exactly the same time another hurricane can be moving rapidly northward along the Atlantic coast. There are going to be roofing nails everywhere and you will likely get multiple flat tires in the weeks after the hurricane.
On autumn weekends in Reading Pa a young Brian McNoldy spent his mornings glued to the living room TV scanning VCR recordings of The Weather Channel in the hopes of catching his favorite show. Not trying to clean it up yet. AIRS sees hurricanes as hundreds of these clusters he said.
![]()
Here S Why Hurricane Dorian Is Moving So Slowly And Why It May Be The New Normal

Hurricane Dorian Moving Again Growing Larger In Size As Winds Down To 110 Mph Just In Weather

Hurricane Dorian Cat 5 Winds 160 Mph Slamming Bahamas Then New Us Forecast Just In Weather

Hurricane Dorian Moving Slower Before A Western Turn Towards Florida Sebastian Daily

In Depth Why Isn T Hurricane Dorian Moving Kxan Austin

In Depth Why Isn T Hurricane Dorian Moving Kxan Austin

Labor Day Storms And Cat 5 Hurricane Dorian Nearly Stalled In Bahamas Just In Weather

Hurricane Dorian S Devastation In The Bahamas Revealed Hurricane Bahamas National Hurricane Center

In Depth Why Isn T Hurricane Dorian Moving Kxan Austin

Hurricane Dorian Delays Start Of Fall Quarter Scad District

47 Florida Memes For Those Who Don T Fear Hurricane Dorian Hurricane Memes Funny Weather Weather Memes

Hurricane Dorian Still Lashing The Bahamas Slowly Moving North Hurricane Bahamas Trucking Companies

Hurricane Dorian Still Crawling West Toward Florida Is Welcome To Begin Moving North Any Time Please Blogs

Hurricane Dorian Isn T Moving Because The Upper Atmosphere Is Too Calm Wusf Public Media

Hurricane Dorian Ravaged The Bahamas And Struck The Southeastern U S Coast Before Heading To Atlantic Canada Recap The Weather Channel Articles From The Weather Channel Weather Com



